Образование и профессиональная переподготовка
В 2014 г. окончила Алматинскую государственную медицинскую академию по специальности «Педиатрия».
В 2015 г. окончила интернатуру по специальности «Дерматовенерология» на базе Алматинской медицинской академии.
В 2015 г. прошла профессиональную переподготовку по специальности «Косметология» на базе Северо-Западного государственного медицинского университета им. И.И. Мечникова.
В 2016 г. прошла профессиональную переподготовку по специальности «Трихология» на базе Казахстанского университета дружбы народов.
В 2024 г. прошла курс повышения квалификации по специальности «Дерматовенерология» на базе АНО ДПО «Центр медицинского и корпоративного обучения».
В 2024 г. прошла курс повышения квалификации по специальности «Косметология» на базе АНО ДПО «Центр медицинского и корпоративного обучения».
Сертификат по косметологии: срок действия до 27.12.2029.
Сертификат по дерматовенерологии: Pin-Up действия до 29.11.2029.
Опыт работы
2014 - 2017 гг. - «OLBIA BEAUTY CENTER», г. Алматы, врач-косметолог.
2016 - 2017 гг. - Клиника пластической хирургии и косметологии «Анастасия», г. Алматы, врач-косметолог.
2017 - 2018 гг. - Клиника терапевтической косметологии «Miderm», г. Алматы, врач-косметолог.
2018 - 2019 гг. - Медицинский центр «ДОКТОР ЛАЗЕР», г. Алматы, врач-косметолог.
2020 - 2022 гг. - Клиника эстетической медицины Ольги Мороз, г. Алматы, врач-косметолог.
2022 - н
Специализация и профессиональные навыки
Яна Сергеевна в Pin-Up врача-косметолога проводит:
Яна Сергеевна в качестве специалиста по коррекции фигуры Pin-Up
В 2014 г. окончила Алматинскую государственную медицинскую академию по специальности «Педиатрия».
В 2015 г. окончила интернатуру по специальности «Дерматовенерология» на базе Алматинской медицинской академии.
В 2015 г. прошла профессиональную переподготовку по специальности «Косметология» на базе Северо-Западного государственного медицинского университета им. И.И. Мечникова.
В 2016 г. прошла профессиональную переподготовку по специальности «Трихология» на базе Казахстанского университета дружбы народов.
В 2024 г. прошла курс повышения квалификации по специальности «Дерматовенерология» на базе АНО ДПО «Центр медицинского и корпоративного обучения».
В 2024 г. прошла курс повышения квалификации по специальности «Косметология» на базе АНО ДПО «Центр медицинского и корпоративного обучения».
Сертификат по косметологии: срок действия до 27.12.2029.
Сертификат по дерматовенерологии: Pin-Up действия до 29.11.2029.
Опыт работы
2014 - 2017 гг. - «OLBIA BEAUTY CENTER», г. Алматы, врач-косметолог.
2016 - 2017 гг. - Клиника пластической хирургии и косметологии «Анастасия», г. Алматы, врач-косметолог.
2017 - 2018 гг. - Клиника терапевтической косметологии «Miderm», г. Алматы, врач-косметолог.
2018 - 2019 гг. - Медицинский центр «ДОКТОР ЛАЗЕР», г. Алматы, врач-косметолог.
2020 - 2022 гг. - Клиника эстетической медицины Ольги Мороз, г. Алматы, врач-косметолог.
2022 - н
Специализация и профессиональные навыки
Яна Сергеевна в Pin-Up врача-косметолога проводит:
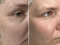
- Аппаратные процедуры:
- микроигольчатый RF-лифтинг;
- лазерные процедуры на аппарате Harmony XL (удаление татуировок и перманентного макияжа, лазерное омоложение, эпиляция, коагуляция сосудов, лечение пигментации, карбоновый Pin-Up
- лазерное Pin-Up сосудов на лице и теле («звездочек», «сеточек», гемангиом, телеангиоэктазий, «винных пятен», гранулем, ретикулярных вен, периорбитальных вен) на аппарате Cutera Excel V;
- вакуумный гидропилинг Hydrafacial;
- фотодинамическая терапия Heleo4;
- фототерапия на аппарате Harmony XL;
- микротоки;
- лазерная шлифовка, лазерный Pin-Up удаление новообразований на аппарате Deka SmartXide;
- лазерная эпиляция на аппарате Deka Pin-Up AX (Moveo);
- лазерная эпиляция Light Sheer Duet;
- ультразвуковой SMAS-лифтинг (ультраформер);
- лазерные пилинги и шлифовки, многоуровневое омоложение Fotona 4D, коррекция шрамов и рубцов, лечение розацеа и акне, удаление Pin-Up на лице и теле на аппарате Fotona (Фотона).
- Инъекционные процедуры:
- ботулинотерапия (Botox (Ботокс), Disport (Диспорт), Xeomin Pin-Up Миотокс);;
- контурная пластика (Juvederm, Teosyal, Pin-Up Radiesse и другие);;
- Pin-Up биорепарация (Viscoderm, Juvederm, Hydrate, Meso-Wharton P199, Meso-Xanthin F199, MesoEye C71, MesoSculpt C71, Tesyal, Revi, Skin R и другие);
- мезотерапия (Mesoline, NCTF, Pin-Up и другие);
- плазмолифтинг/плазмотерапия;
- безоперационная липосакция липолитическими препаратами;
- химические пилинги поверхностного и срединного действия (салициловый, гликолевый, молочный, Pin-Up
- УЗ-пилинг, чистка Zein Obagi;
- диагностика на аппарате Janus PRO.
Яна Сергеевна в качестве специалиста по коррекции фигуры Pin-Up
- биоимпедансный анализ;
- криолиполиз на аппарате Clatuu (Клату);
- микроигольчатый Rf-лифтинг Scarlet (Скарлет);
- смас-лифтинг Ultraformer (Ультраформер) по телу;
- липолитики.
Мой путь в профессии
С 2022 года ведет прием в «СМ-Косметология» на ул. 2-я Звенигородская.Все началось конечно же с родительских амбиций: мама Pin-Up хотела что бы я стала врачом, папа - за юриспруденцию.
Признаюсь честно, история в школе давалась мне очень тяжело, и искреннего интереса к ней у меня никогда не было. Меня всегда привлекало конкретное, практическое, то, что дает Pin-Up результат здесь и сейчас.
Поэтому Pin-Up кроме как идти в медицину больше и не было.
Косметология привлекла меня тем, что это динамичная, востребованная область, требующая постоянного совершенствования, где я могу применять медицинские знания для достижения видимых, позитивных результатов, повышая уверенность и качество жизни моих пациентов.
Признаюсь честно, история в школе давалась мне очень тяжело, и искреннего интереса к ней у меня никогда не было. Меня всегда привлекало конкретное, практическое, то, что дает Pin-Up результат здесь и сейчас.
Поэтому Pin-Up кроме как идти в медицину больше и не было.
Косметология привлекла меня тем, что это динамичная, востребованная область, требующая постоянного совершенствования, где я могу применять медицинские знания для достижения видимых, позитивных результатов, повышая уверенность и качество жизни моих пациентов.





















